Proclamation under the Nature Conservation Act 2002


Tasmanian Crest
Proclamation under the Nature Conservation Act 2002

I, the Governor in and over the State of Tasmania and its Dependencies in the Commonwealth of Australia, acting with the advice of the Executive Council, by this my proclamation made under section 11(2) of the Nature Conservation Act 2002 declare –

(a) the area of Crown land specified in Part 1 of Schedule 1 to this proclamation to be reserved land in the class of State reserve and give the name Calm Bay State Reserve to that reserved land; and
(b) the area of Crown land specified in Part 2 of Schedule 1 to this proclamation to be reserved land in the class of State reserve and give the name Disappointment Bay State Reserve to that reserved land; and
(c) the areas of Crown land specified in Part 3 of Schedule 1 to this proclamation to be reserved land in the class of State reserve and give the name Welcome River State Reserve to that reserved land; and
(d) the area of Crown land specified in Part 4 of Schedule 1 to this proclamation to be reserved land in the class of State reserve and give the name Weldborough Pass State Reserve to that reserved land; and
(e) the area of Crown land specified in Part 5 of Schedule 1 to this proclamation to be reserved land in the class of State reserve and give the name Alum Cliffs State Reserve to that reserved land; and
(f) the area of Crown land specified in Part 6 of Schedule 1 to this proclamation to be reserved land in the class of State reserve and give the name Fairy Glade State Reserve to that reserved land; and
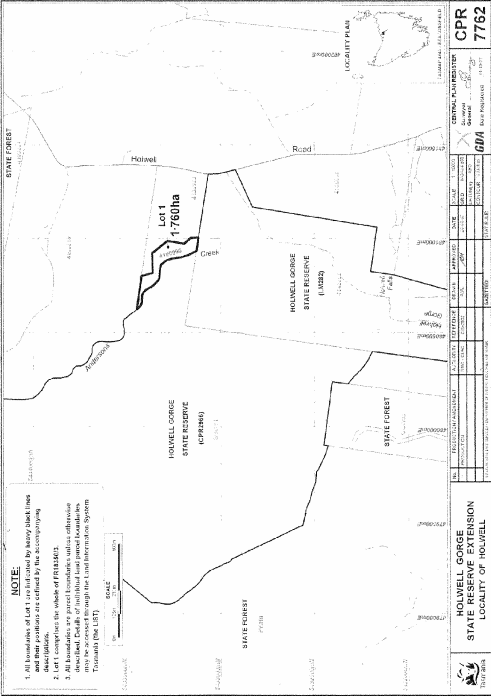
(g) the area of Crown land specified in Part 7 of Schedule 1 to this proclamation to be reserved land in the class of State reserve and give the name Holwell Gorge State Reserve to that reserved land; and
(h) the area of Crown land specified in Part 8 of Schedule 1 to this proclamation to be reserved land in the class of State reserve and give the name Lavinia State Reserve to that reserved land; and
(i) the area of Crown land specified in Part 9 of Schedule 1 to this proclamation to be reserved land in the class of State reserve and give the name Mount Montgomery State Reserve to that reserved land; and
(j) the area of Crown land specified in Part 10 of Schedule 1 to this proclamation to be reserved land in the class of State reserve and give the name Notley Gorge State Reserve to that reserved land; and
(k) that this proclamation takes effect on the day on which its making is notified in the Gazette.

20 June 2011

PETER G. UNDERWOOD

Governor

By His Excellency's Command,

BRIAN WIGHTMAN

Minister for Environment, Parks and Heritage

SCHEDULE 1 - Areas of Land
PART 1 - Calm Bay State Reserve
All that area of land comprising about 343.8 hectares, shown as Lot 1 and bounded by a heavy black line, on Plan 6996 in the Central Plan Register, a reduced copy of which is set out, by way of illustration only, in Part 1 of Schedule 2 to this proclamation.
PART 2 - Disappointment Bay State Reserve
All that area of land comprising about 69.04 hectares, shown as Lot 1 and bounded by a heavy black line, on Plan 6765 in the Central Plan Register, a reduced copy of which is set out, by way of illustration only, in Part 2 of Schedule 2 to this proclamation.
PART 3 - Welcome River State Reserve
All that area of land comprising –
(a) about 80.12 hectares, shown as Lot 1; and
(b) about 193 hectares, shown as Lot 2; and
(c) about 145.4 hectares, shown as Lot 3 –
and bounded by heavy black lines, on Plan 6987 in the Central Plan Register, a reduced copy of which is set out, by way of illustration only, in Part 3 of Schedule 2 to this proclamation.
PART 4 - Weldborough Pass State Reserve
All that area of land comprising about 180.1 hectares, shown as Lot 1 (not including the hatched portion) and bounded by a heavy black line, on Plan 8064 in the Central Plan Register, a reduced copy of which is set out, by way of illustration only, in Part 4 of Schedule 2 to this proclamation.
PART 5 - Alum Cliffs State Reserve
All that area of land comprising about 18.75 hectares, shown as Lot 1 and bounded by a heavy black line, on Plan 7521 in the Central Plan Register, a reduced copy of which is set out, by way of illustration only, in Part 5 of Schedule 2 to this proclamation.
PART 6 - Fairy Glade State Reserve
All that area of land comprising about 18.01 hectares, shown as Lot 1 and bounded by a heavy black line, on Plan 7518 in the Central Plan Register, a reduced copy of which is set out, by way of illustration only, in Part 6 of Schedule 2 to this proclamation.
PART 7 - Holwell Gorge State Reserve
All that area of land comprising about 1.76 hectares, shown as Lot 1 and bounded by a heavy black line, on Plan 7762 in the Central Plan Register, a reduced copy of which is set out, by way of illustration only, in Part 7 of Schedule 2 to this proclamation.
PART 8 - Lavinia State Reserve
All that area of land comprising about 845.5 hectares, shown as Lot 1 and bounded by a heavy black line, on Plan 6867 in the Central Plan Register, a reduced copy of which is set out, by way of illustration only, in Part 8 of Schedule 2 to this proclamation.
PART 9 - Mount Montgomery State Reserve
All that area of land comprising about 32.39 hectares, shown as Lot 1 and bounded by a heavy black line, on Plan 7907 in the Central Plan Register, a reduced copy of which is set out, by way of illustration only, in Part 9 of Schedule 2 to this proclamation.
PART 10 - Notley Gorge State Reserve
All that area of land comprising about 2.697 hectares, shown as Lot 1 and bounded by a heavy black line, on Plan 7763 in the Central Plan Register, a reduced copy of which is set out, by way of illustration only, in Part 10 of Schedule 2 to this proclamation.
SCHEDULE 2 - Plans
PART 1 - Calm Bay State Reserve

graphic image

PART 2 - Disappointment Bay State Reserve

graphic image

PART 3 - Welcome River State Reserve

graphic image

PART 4 - Weldborough Pass State Reserve

graphic image

PART 5 - Alum Cliffs State Reserve

graphic image

PART 6 - Fairy Glade State Reserve

graphic image

PART 7 - Holwell Gorge State Reserve

graphic image

PART 8 - Lavinia State Reserve

graphic image

PART 9 - Mount Montgomery State Reserve

graphic image

PART 10 - Notley Gorge State Reserve

graphic image

Displayed and numbered in accordance with the Rules Publication Act 1953.

Notified in the Gazette on 29 June 2011

This proclamation is administered in the Department of Primary Industries, Parks, Water and Environment.

EXPLANATORY NOTE

(This note is not part of the proclamation)

This proclamation, under the Nature Conservation Act 2002  –
(a) declares certain areas of Crown land to be reserved land in the class of State reserve; and
(b) in doing so, creates certain new State reserves and extends certain existing State reserves.